por Redacción Digital | Oct 29, 2025 | Deporte
Los Ángeles, Estados Unidos, Los Azulejos de Toronto derrotaron de visitantes 6-2 a los Dodgers de Los Ángeles para igualar 2-2 la Serie Mundial de las Grandes Ligas (MLB), con victoria del derecho Shane Bieber sobre el fenómeno japonés Shohei Ohtani. Las novenas...
por Redacción Digital | Oct 29, 2025 | Nacionales
Un mensaje del General de Ejército Raúl Castro Ruz, líder al frente de la Revolución Cubana, fue compartido por el Miembro del Buró Político y Secretario del Consejo de Ministros, general de brigada José Amado Ricardo Guerra, a los miembros del Consejo de Defensa...
por Redacción Digital | Oct 29, 2025 | Nacionales
Pese a las presiones del Gobierno de Estados Unidos para descarrilar el voto, Cuba espera hoy una nueva victoria en la Asamblea General de la ONU cuando el mundo vuelva a decir no más bloqueo. Desde 1992 se realiza este ejercicio anual en el cual Cuba ha recibido el...
por Redacción Digital | Oct 29, 2025 | Ciencia y Técnica
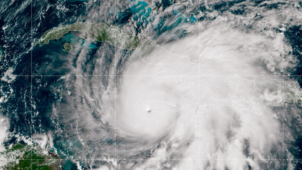
AVISO DE CICLÓN TROPICAL Fecha: 29 de octubre. Hora: 9:00 am. HURACÁN MELISSA. La región central del huracán Melissa durante las últimas tres horas estuvo desplazándose sobre la provincia de Holguín, reportándose calma en los municipios de Cueto, Mayarí y Banes,...
por Redacción Digital | Oct 29, 2025 | Nacionales
«Van a ser muchos los daños que va a ocasionar», anticipó en un mensaje a la nación cubana. El presidente de Cuba, Miguel Díaz-Canel Bermúdez, pidió este martes a la población tomar precauciones y permanecer en zonas seguras ante la inminente llegada del...